永興2丁目 土地(売買 土地) | 大分市 | 大分市周辺の売買物件情報はヤマダ不動産 大分わさだ店へ

永興2丁目 土地 | 大分市の不動産物件

【ヤマダポイント対象物件】 2026年2月末までに当社で対象物件をご成約いただいた方にヤマダ電機で使えるポイントを最大10万円分プレゼント!
【土地】
価格 800万円 (税無)
久大本線 南大分駅 徒歩10分
スマホ表示
物件コード:115994
所在地 坪単価 土地面積 建築条件
土地権利
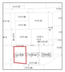
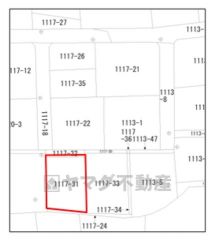
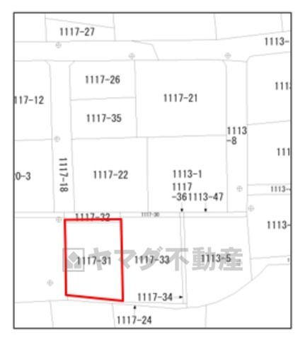
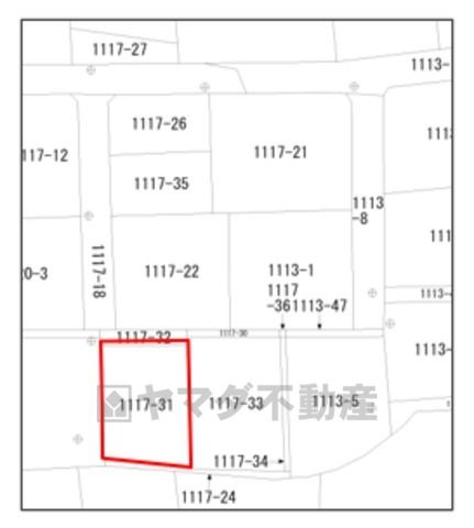
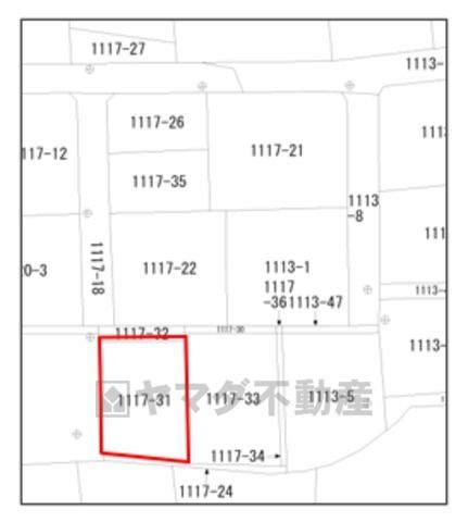
大分県大分市 - 166.21m2
(50.27坪)
-
所有権

物件基本情報

▲外観
物件種目 土地
物件名称 永興2丁目 土地
所在地 大分県大分市
交通
久大本線 南大分駅 徒歩10分
土地面積 166.21m2 (50.27坪)
建ぺい率/容積率 60% / 200%
地目 宅地
都市計画 市街化区域
用途地域 第一種中高層住居専用地域
最適用途 住宅用地
学校 城南小学校 / 城南中学校
設備・条件
  • ガス:個別プロパン
  • 汚水:個別浄化槽
  • 水道:公営水道
ヤマダ不動産 大分わさだ店
Tel097-588-8222
お気軽にお問い合わせください。

画像・写真

  • 隣地境界
    隣地境界
  • 隣地境界
    隣地境界
  • 隣地境界
    隣地境界
  • お庭
    お庭
  • 現地写真
    現地写真
  • 眺望
    眺望
  • ヤマダポイントプレゼント
    ヤマダポイントプレゼント
  • ファミリーマート 大分城南団地まで550m
    ファミリーマート 大分城南団地まで550m
  • セブンイレブン 大分荏隈店まで850m
    セブンイレブン 大分荏隈店まで850m
  • ミスターマックス Select南大分店まで900m
    ミスターマックス Select南大分店まで900m
  • トキハインダストリー 南大分センターまで1100m
    トキハインダストリー 南大分センターまで1100m
  • ドラッグセイムス 大分奥田店まで1400m
    ドラッグセイムス 大分奥田店まで1400m

コメント

◆物件の詳細◆
・眺望、日当たりのよい土地です。
近隣小学校まで徒歩約7分。毎日の登下校も安心です。
宅地造成規制区域 屋外広告物禁止区域、居住推奨区域、市街地エリア
建物あり 79.9㎡(24.17坪)
現状有姿・解体相談可
前面道路私道は建築基準法上の道路には該当しません。

◆『ヤマダポイントプレゼント』とは◆
当社で対象物件をご成約いただいた方に、
全国のヤマダ電機で使えるポイント最大10万円分をプレゼント!!
もらったポイントで家具・家電をお得にお買い物♪
※売買物件の成約価格に応じてポイント数は変動します
※最大は10万ポイントまでです

◆月々のローンの支払い◆
月々のローンの支払い相談も承っております。
詳しくは当店スタッフまで!

他にも沢山の物件情報をご紹介しております!
お気軽にお問い合わせください。

ヤマダ不動産 大分わさだ店
TEL:097-588-8222 まで!

周辺地図

地図を表示中...
ストリートビュー未対応エリアです。

物件詳細情報

物件用途 - 接道 私道 北 幅員2.7m (接面10.3m)
地勢 - 私道面積 22.00m2
土地面積基準 公簿 道路位置指定 -
借地条件 - 不適合接道 -
地代 - セットバック -
現況 古家付 国土法届出 不要
引渡条件/時期 - / 相談 取引態様 一般
設備その他 -
特記事項 屋外広告物禁止区域、居住推奨区域、市街地エリア
備考 -
情報更新日 2026/01/22 広告有効期限 2026/02/12
電話でお問い合わせ
ヤマダ不動産 大分わさだ店 店舗情報
[所在地] 大分県大分市大字市1206 家電住まいる館YAMADAわさだ店 2階
[営業時間] 10:00~19:00 水曜定休
Tel097-588-8222
お気軽にお問い合わせください。

このページをご覧の方に
おすすめの不動産物件

  •